Land for Sale in AlShinana As Salam
§175,000.4
1,161m²
20m
Residential
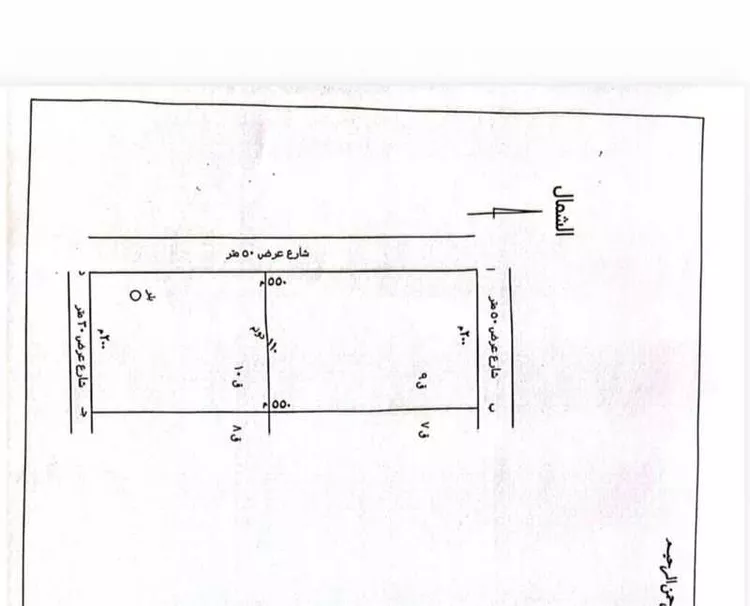
for sale corner land in hail, al-shinan governorate (al-fahd plan) located 1.5 kilometers west of the hail-qassim public road, south of the governorate entrance. a promising development with all services available (asphalt, electricity, water, communication towers, sewage system). plan number 31n plot number 279 the land is on an eastern street 20 meters wide and a northern street 15 meters wide. dimensions: north: 35.87 m south: 32 m east: 32 m west: 35 m excellent land location and one of the largest plots in the development. can be subdivided into 3 plots from the eastern or northern street. area: 1,611 square meters.
As Salam, AlShinana

Land for Sale in AlShinana Al Aziziyah
§33,000.89
309m²
25m
Residential
No description
Al Aziziyah, AlShinana

Land for Sale in AlShinana As Salam
§55,894.3
508m²
25m
Residential
distinguished land at a special price in al-salam subdivision in al-shanan, hail region, with an area of 508 sqm on a 25m northern street and has a promising future, god willing.
As Salam, AlShinana

Farm for Sale in AlShinana Al Aziziyah
§1,500,000
864,000m²
farm for sale owned with updated electronic deed location | hail region - al-shanan governorate - al-arshawiya area | 864,000 square meters plot number | 1 streets | north: 50-meter wide street, 690 meters long south: 50-meter wide street, 960 meters long east: 50-meter wide street, 1,130 meters long west: 50-meter wide street, 990 meters long contents | (1) deep artesian well (1) central pivot sprinkler with (5) towers (1) central pivot sprinkler with (3) towers (1) electricity meter rest house consisting of two rooms, kitchen, and bathroom agricultural license for fodder and clover available price negotiable - direct owner +966 55 086 0686
Al Aziziyah, AlShinana

Land for Sale in AlShinana Al Aziziyah
§1,050,000
1,050,000m²
50m
No description
Al Aziziyah, AlShinana

Land for Sale in AlShinana Al Aziziyah
§63,000
450m²
20m
Residential
No description
Al Aziziyah, AlShinana

Land for Sale in AlShinana As Salam
§98,000
1,000m²
15m
Residential
for sale residential land in al-fahd al-shanan scheme in hail 15-meter street northern facing area 1000 square meters
As Salam, AlShinana

Land for Sale in AlShinana As Salam
§45,141
367m²
15m
Residential
for sale: residential land plot in hail, al-shinan governorate, scheme 27 n plot number 13 15-meter street area 367 sqm full services available in the area located among rest houses and close to mac restaurant. price reduced to 45,000 net.
As Salam, AlShinana

Land for Sale in AlShinana Al Ezdihar
§1,026,000
1,000,000m²
50m
No description
Al Ezdihar, AlShinana

Land for Sale in AlShinana Al Aziziyah
§550,000
110,000m²
50m
1010- 🏚️ for sale: agricultural land in al-shinan - al-qassim. 📍 location: al-shinan - al-suaira - al-qassim 📐 area: 110,000 sqm - well depth 170 m - water salinity level 400 - livestock permit for 3500 - electricity approval available 💰 asking price: 550,000 sar net 📞 **for contact and more details 🏚️real home call saeed al-habeini number 📞: 0530393029 📜 license number: 1200030610 ⏭️⏭️⏭️⏭️⏭️⏭️⏭️
Al Aziziyah, AlShinana

Land for Sale in AlShinana Al Aziziyah
§80,000
525m²
36m
Residential
land in kahfa al-sharfa neighborhood area: 525 sale price: 80,000
Al Aziziyah, AlShinana

Land for Sale in AlShinana As Salam
§40,000.83
314m²
20m
Residential
for sale residential land in hail, al-shinan governorate, al-fahd scheme (all services available) west street width 20 meters area 314 square meters bank financing accepted
As Salam, AlShinana

Land for Sale in AlShinana As Salam
§100,000
1,000m²
15m
Residential
No description
As Salam, AlShinana

Land for Sale in AlShinana As Salam
§5,500
500m²
20m
Residential
No description
As Salam, AlShinana

Land for Sale in AlShinana Al Aziziyah
§27,900
300m²
25m
Residential
No description
Al Aziziyah, AlShinana

Land for Sale in AlShinana As Salhiyah
§302,100
53,000m²
No description
As Salhiyah, AlShinana

Farm for Sale in AlShinana Al Aziziyah
§175,000
50,000m²
No description
Al Aziziyah, AlShinana

Land for Sale in AlShinana Al Aziziyah
§400,000
200,000m²
50m
🌳🌳 for sale: agricultural land in al khobar, area 200,000 square meters, electronic deed 50-meter street north, plan number 245, plot number 937 dimensions 400 x 500 price 350,000 —————————- 🌳🌳for sale: agricultural land in al ajfar ready for cultivation price 350 —————————- available agricultural land 100,000 in al luwaibida🌴 with well, price 170 to go to the location 👇🏻 https://maps.app.goo.gl/p17lzac2chsavyswa?g_st=com.google.maps.preview.copy ————————————————————- *rawasi dark real estate office* *for contact call/whatsapp* *0562263857 abu abdulaziz✔️* *certified as advertiser and real estate broker* *by the general real estate authority* *license number 1200042221* *registration number 7052159444* ☘️🏡🏠 *ready to market your properties - lands - farms - buildings - houses - duplexes - ownership apartments - plots (fulfilling your requests)* *📍 i would be honored to have you join the group* https://chat.whatsapp.com/lsmr8acfnqx6v8c4zilff2
Al Aziziyah, AlShinana

Land for Sale in AlShinana Al Aziziyah
§349,998
116,666m²
50m
No description
Al Aziziyah, AlShinana

Land for Sale in AlShinana As Salam
§70,000
500m²
20m
Residential
No description
As Salam, AlShinana

Search Options
Copyright © 2026 Aqar App. All rights reserved.
Aqar App Company is licensed by the Ministry of Tourism for booking units under license number 73106505